

- Àç»ý ÁغñÁß


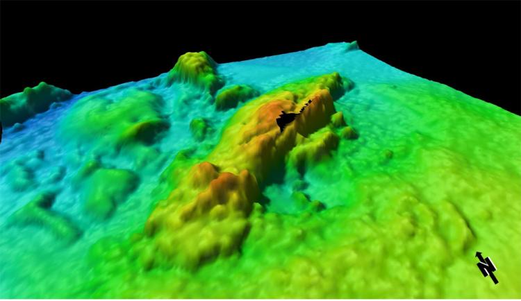
¹ö¸´µ¹ÃÊ : Áö¿ª ÁֹεéÀÌ ¿¾³¯ º¸¸´°í°³¸¦ ³Ñ¾î¾ß ÇÒ ¶§ ÀÌ ¹ÙÀ§¿¡¼ ¹Ì¿ªÀÌ ¸¹ÀÌ ³ª ¾î·Á¿î °íºñ¸¦ ³Ñ°å´ÙÇÏ¿© º¸¸®¸¦ ¶æÇÏ´Â °æ»óµµ ¹æ¾ðÀÎ ¡®¹ö¸®¡¯¸¦ µû ¡®¹ö¸®µ¹¡¯·Î ºÎ¸£°í ÀÖÀ½
![]() ![]() |
¸»¸Ó¸®µ¹ÃÊ : Áö¿ªÁֹεéÀÌ ¸»ÀÇ ¸Ó¸® ¸ð¾çÀ» ´à¾Æ ¸»¸Ó¸®µ¹À̶ó°í ºÎ¸£°í ÀÖÀ½ |
ÇØ¾ç¼ö»êºÎ »êÇÏ ±¹¸³ÇؾçÁ¶»ç¿øÀº µ¿ÇØ¾È ÁߺÎÇØ¿ªÀÇ ÇØ¾çÁö¸í »ç¿ë ½ÇÅÂ¿Í ÇØÀúÁöÇüÀ» ºÐ¼®ÇØ ÇØ¾çÁö¸í 17°ÇÀ» »õ·Ó°Ô Á¤ºñÇϰí, À̸¦ 31ÀÏ °í½ÃÇÑ´Ù°í ¹àÇû´Ù.
ÇØ¾çÁö¸íÀº ¹Ù´Ù¿¡ Á¸ÀçÇÏ´Â ÀÚ¿¬ÁöÇü¿¡ ºÎ¿©Çϴ ǥÁØÈµÈ °ø½Ä ¸íĪÀ¸·Î, Ç×ÇØ ¾ÈÀüÀ» À§ÇØ ¾ÏÃÊ¿Í ÁöÇüÀÇ À§Ä¡¸¦ Á¤È®È÷ ¾Ë¸®´Â ¿ªÇÒÀ» ÇÑ´Ù. Áö¸í Á¦Á¤ °úÁ¤¿¡¼´Â ÇØ´ç Áö¿ª ÁֹεéÀÌ »ç¿ëÇØ ¿Â ¸íΰú ÁöÇüÀÇ ÇüÅÂ, ¿ª»çÀû ¹è°æ µîÀÌ Á¾ÇÕÀûÀ¸·Î °í·ÁµÈ´Ù.
À̹ø¿¡ »õ·Ó°Ô Á¦Á¤µÈ Áö¸í °¡¿îµ¥´Â Æ÷Ç× ¾Õ¹Ù´Ù¿¡ À§Ä¡ÇÑ ¡®¹ö¸´µ¹ÃÊ¡¯°¡ Æ÷ÇԵƴÙ. ÀÌ ¾ÏÃÊ´Â °ú°Å º¸¸´°í°³ ½ÃÀý, Àα٠ÁֹεéÀÌ À̰÷¿¡¼ ¹Ì¿ªÀ» äÃëÇÏ¸ç »ý°è¸¦ À̾´ø »ç¿¬¿¡¼ À¯·¡ÇØ ¡®¹ö¸´µ¹¡¯·Î ºÒ·Á¿Ô´Ù. ±¹¸³ÇؾçÁ¶»ç¿øÀº ÀÌ·¯ÇÑ Áö¿ª ±¸ÀüÀ» ¹Ý¿µÇØ °ø½Ä ÇØ¾çÁö¸íÀ¸·Î ¡®¹ö¸´µ¹ÃÊ¡¯¸¦ Á¦Á¤Çß´Ù.
±¹¸³ÇؾçÁ¶»ç¿øÀº ÇØ¾çÁö¸íÀÌ ´Ü¼øÇÑ Áö¸® Ç¥±â¸¦ ³Ñ¾î, ¿À·£ ½Ã°£ ÇØ´ç ¹Ù´Ù¸¦ ÀÌ¿ëÇØ ¿Â »ç¶÷µéÀÇ »î°ú ¿ª»ç, ¹®ÈÀû Á¤Ã¼¼ºÀ» ´ã°í ÀÖ´Ù°í ¼³¸íÇß´Ù. Áö¸í Á¤ºñ´Â Ç×ÇØ ¾ÈÀü È®º¸¿Í ÇÔ²² ÇØ¾ç ¹®ÈÀ¯»êÀ» º¸ÀüÇÏ´Â Àǹ̵µ Áö´Ñ´Ù´Â °ÍÀÌ´Ù.
±¹¸³ÇؾçÁ¶»ç¿ø °ü°èÀÚ´Â ¡°ÁֹεéÀÌ ÀνÄÇÏ°í »ç¿ëÇØ ¿Â Áö¸íÀº ´ëºÎºÐ ±¸ÀüÀ¸·Î ÀüÇØÁ® ½Ã°£ÀÌ È带¼ö·Ï À¯·¡¸¦ ¾Ë±â ¾î·Á¿öÁø´Ù¡±¸ç ¡°°úÇÐÀû ÇØÀúÁöÇü ÀڷḦ ±â¹ÝÀ¸·Î Ç¥ÁØÈµÈ ¸í¸íÀ» ÃßÁøÇØ ÇØ¾çÁö¸íÀÇ ¹®ÈÀû °¡Ä¡¸¦ ü°èÀûÀ¸·Î º¸ÀüÇØ ³ª°¡°Ú´Ù¡±°í ¸»Çß´Ù.
À̹ø¿¡ °í½ÃµÈ ÇØ¾çÁö¸íÀº ¹Ù´ÙÁöµµÀÎ ÇØµµ¿Í ±¹¸³ÇؾçÁ¶»ç¿ø ´©¸®Áý ¡®°³¹æÇØ¡¯¿¡¼ È®ÀÎÇÒ ¼ö ÀÖ´Ù. ÇöÀç±îÁö °í½ÃµÈ ÇØ¾çÁö¸íÀº ¸ðµÎ 1õ250°Ç¿¡ À̸¥´Ù.
/ÁÖȫö ±âÀÚ jhc@kjdaily.com
jhc@kjdaily.com

